CosmosObservatory
Explore
Solar System
Live
Learn
Tools
About
Cosmos Observatory
ToolsAbout
Cosmos Observatory

Explore the universe through NASA data, real-time ISS tracking, Mars rover imagery, asteroid monitoring, and comprehensive space encyclopedia. Your gateway to the cosmos.

Explore

  • APOD
  • Mars Rovers
  • Earth Imagery
  • NASA Gallery
  • ISS Tracker

Data

  • Asteroids
  • Solar System
  • Exoplanets
  • Space Weather
  • Launches

Tools

  • Glossary
  • News
  • Calculators

Legal

  • About
  • Privacy Policy
  • Terms of Use
  • Space Tools
  • Contact

Stay updated with the cosmos

Get weekly digests of APOD highlights, upcoming launches, and space events.

© 2026 Cosmos Observatory. All rights reserved. Built with for space enthusiasts.

This website is not affiliated with, maintained, authorized, endorsed by, or in any way officially connected with NASA or any of its subsidiaries or affiliates. All NASA imagery is in the public domain unless otherwise noted. Data sourced from NASA Open APIs, Launch Library 2, and other open data services.

NASA Gallery

Explore NASA's vast collection of space images, videos, and audio from missions past and present.

  1. Home
  2. /
  3. NASA Gallery

NASA's Image and Video Library: A Visual Archive of Space Exploration

NASA's Image and Video Library is one of the most comprehensive public archives of space imagery in the world, containing over 140,000 images, videos, and audio recordings spanning more than six decades of space exploration. From the earliest Mercury and Gemini missions through the Apollo Moon landings, the Space Shuttle era, and today's cutting-edge observations from the James Webb Space Telescope, this collection documents humanity's journey into the cosmos.

The library includes imagery from diverse sources: telescopes like Hubble and Webb that capture deep-space nebulae, galaxies, and exoplanets; planetary missions like the Mars rovers ( browse Mars photos) and Cassini at Saturn; Earth observation satellites ( see EPIC imagery); astronaut photography from the ISS; and documentation of rocket launches, spacecraft assembly, and ground testing. Most NASA images are in the public domain and free to download at full resolution for educational, editorial, and personal use.

Use the search bar above to find specific subjects — try queries like "Apollo 11," "Hubble Deep Field," "Mars surface," or "astronaut EVA." You can also filter by media type (image, video, or audio). For a daily curated experience, visit the Astronomy Picture of the Day.

Showing results for "ITA"

68 results found - Page 1 of 3

NASA image: SLS Intertank Test Article, ITA, is attached to crosshead of loa
Image
Apr 4, 2018

SLS Intertank Test Article, ITA, is attached to crosshead of loa

SLS Intertank Test Article, ITA, is attached to crosshead of load test Annex, Bldg. 4619, and removed from bed of...

MSFC
NASA image: SLS Intertank Test Article, ITA, is attached to crosshead of loa
Image
Apr 4, 2018

SLS Intertank Test Article, ITA, is attached to crosshead of loa

SLS Intertank Test Article, ITA, is attached to crosshead of load test Annex, Bldg. 4619, and removed from bed of...

MSFC
NASA image: SLS Intertank Test Article, ITA, is attached to crosshead of loa
Image
Apr 4, 2018

SLS Intertank Test Article, ITA, is attached to crosshead of loa

SLS Intertank Test Article, ITA, is attached to crosshead of load test Annex, Bldg. 4619, and removed from bed of...

MSFC
NASA image: SLS Intertank Test Article, ITA, is attached to crosshead of loa
Image
Apr 4, 2018

SLS Intertank Test Article, ITA, is attached to crosshead of loa

Technicians are removed from SLS Intertank Test Article, ITA, after attaching to crosshead of load test Annex, Bldg....

MSFC
NASA image: SLS Intertank Test Article, ITA, is attached to crosshead of loa
Image
Apr 4, 2018

SLS Intertank Test Article, ITA, is attached to crosshead of loa

SLS Intertank Test Article, ITA, is attached to crosshead of load test Annex, Bldg. 4619, and removed from bed of...

MSFC
NASA image: SLS Intertank Test Article, ITA, is attached to crosshead of loa
Image
Apr 4, 2018

SLS Intertank Test Article, ITA, is attached to crosshead of loa

SLS Intertank Test Article, ITA, is attached to crosshead of load test Annex, Bldg. 4619, and removed from bed of...

MSFC
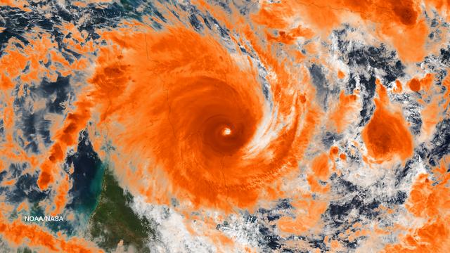
NASA image: Powerful Tropical Cyclone Ita Making Landfall in Queensland, Australia
Image
Dec 8, 2017

Powerful Tropical Cyclone Ita Making Landfall in Queensland, Australia

NASA's Aqua satellite passed over Tropical Cyclone Ita as it began making landfall on the Eastern Cape York...

GSFC
NASA image: SLS Intertank Test Article, ITA, is attached to crosshead of load testAnnex, Bldg. 4619, and removed from bed of KMAG transporter
Image
Apr 20, 2018

SLS Intertank Test Article, ITA, is attached to crosshead of load testAnnex, Bldg. 4619, and removed from bed of KMAG transporter

Robert Bobo, standing extreme right, and technicians view as SLS Intertank Test Article, ITA, is attached to...

MSFC
NASA image: SLS Intertank Test Article, ITA, is attached to crosshead of loa
Image
Apr 4, 2018

SLS Intertank Test Article, ITA, is attached to crosshead of loa

SLS Intertank Test Article, ITA, is attached to crosshead of load test Annex, Bldg. 4619, and removed from bed of...

MSFC
NASA image: SLS Intertank Test Article, ITA, is attached to crosshead of loa
Image
Apr 4, 2018

SLS Intertank Test Article, ITA, is attached to crosshead of loa

SLS Intertank Test Article, ITA, is attached to crosshead of load test Annex, Bldg. 4619, and removed from bed of...

MSFC
NASA image: SLS Intertank Test Article, ITA, is attached to crosshead of loa
Image
Apr 4, 2018

SLS Intertank Test Article, ITA, is attached to crosshead of loa

SLS Intertank Test Article, ITA, is attached to crosshead of load test Annex, Bldg. 4619, and removed from bed of...

MSFC
NASA image: SLS Intertank Test Article, ITA, is attached to crosshead of loa
Image
Apr 4, 2018

SLS Intertank Test Article, ITA, is attached to crosshead of loa

SLS Intertank Test Article, ITA, is attached to crosshead of load test Annex, Bldg. 4619, and removed from bed of...

MSFC
NASA image: Tropical Cyclone Ita Off-Shore Queensland, Australia
Image
Dec 8, 2017

Tropical Cyclone Ita Off-Shore Queensland, Australia

Residents of the northeast coast of Queensland, Australia are facing high winds, dangerous tides and very heavy rain...

GSFC
NASA image: KENNEDY SPACE CENTER, FLA. - Valerie Cassanto, with Instrumentation Technology Associates, Inc., works on an experiment found during the search for Columbia debris.  Mike Casasanto, also with ITA, looks on.  Included in the Commercial ITA Biomedical Experiments payload on mission STS-107 are urokinase cancer research, microencapsulation of drugs, the Growth of Bacterial Biofilm on Surfaces during Spaceflight (GOBBSS), and tin crystal formation.
Image
May 6, 2003

KENNEDY SPACE CENTER, FLA. - Valerie Cassanto, with Instrumentation Technology Associates, Inc., works on an experiment found during the search for Columbia debris. Mike Casasanto, also with ITA, looks on. Included in the Commercial ITA Biomedical Experiments payload on mission STS-107 are urokinase cancer research, microencapsulation of drugs, the Growth of Bacterial Biofilm on Surfaces during Spaceflight (GOBBSS), and tin crystal formation.

KENNEDY SPACE CENTER, FLA. - Valerie Cassanto, with Instrumentation Technology Associates, Inc., works on an...

KSC
NASA image: Space Product Development (SPD)
Image
Jan 12, 2003

Space Product Development (SPD)

Experiments to seek solutions for a range of biomedical issues are at the heart of several investigations that will...

MSFC
NASA image: Space Product Development (SPD)
Image
Jan 12, 2003

Space Product Development (SPD)

Experiments to seek solutions for a range of biomedical issues are at the heart of several investigations that will...

MSFC
NASA image: Space Product Development (SPD)
Image
Jan 12, 2003

Space Product Development (SPD)

Experiments to seek solutions for a range of biomedical issues are at the heart of several investigations that will...

MSFC
NASA image: KENNEDY SPACE CENTER, FLA. -   Valerie Cassanto is one of the scientists recovering experiments found during the search for Columbia debris.  Included in the Commercial ITA Biomedical Experiments payload on mission STS-107 are urokinase cancer research, microencapsulation of drugs, the Growth of Bacterial Biofilm on Surfaces during Spaceflight (GOBBSS), and tin crystal formation.
Image
May 6, 2003

KENNEDY SPACE CENTER, FLA. - Valerie Cassanto is one of the scientists recovering experiments found during the search for Columbia debris. Included in the Commercial ITA Biomedical Experiments payload on mission STS-107 are urokinase cancer research, microencapsulation of drugs, the Growth of Bacterial Biofilm on Surfaces during Spaceflight (GOBBSS), and tin crystal formation.

KENNEDY SPACE CENTER, FLA. - Valerie Cassanto is one of the scientists recovering experiments found during the...

KSC
NASA image: SLS INTERTANK TEST ARTICLE IS ATTACHED TO CROSSHEAD OF LOAD TEST ANNEX, BLDG. 4619,  AND REMOVED FROM BED OF KMAG TRANSPORTER
Image
Mar 28, 2018

SLS INTERTANK TEST ARTICLE IS ATTACHED TO CROSSHEAD OF LOAD TEST ANNEX, BLDG. 4619, AND REMOVED FROM BED OF KMAG TRANSPORTER

SLS INTERTANK TEST ARTICLE IS ATTACHED TO CROSSHEAD OF LOAD TEST ANNEX, BLDG. 4619, AND REMOVED FROM BED OF KMAG...

MSFC
NASA image: Space Product Development (SPD)
Image
Jan 12, 2003

Space Product Development (SPD)

Experiments to seek solutions for a range of biomedical issues are at the heart of several investigations that will...

MSFC
NASA image: KSC-03pd1441
Image
May 6, 2003

KSC-03pd1441

KENNEDY SPACE CENTER, FLA. - In the background, scientists talk to the media about the experiments recovered during...

KSC
NASA image: KSC-03pd1439
Image
May 6, 2003

KSC-03pd1439

KENNEDY SPACE CENTER, FLA. - George D'Heilly, with Instrumentation Technology Associates, Inc., Barry Perlman, with...

KSC
NASA image: KENNEDY SPACE CENTER, FLA. - The apparatus shown was designed to hold microcapsules for research on mission STS-107.  It is one over several  included in the Commercial ITA Biomedical Experiments payload.  The box was recently recovered during the search for Columbia debris.  The drug delivery system and spaceflight hardware was developed jointly by JSC, the Institute for Research Inc. and Instrumentation Technology Associates Inc. to conduct microencapsulation experiments under microgravity conditions.
Image
May 6, 2003

KENNEDY SPACE CENTER, FLA. - The apparatus shown was designed to hold microcapsules for research on mission STS-107. It is one over several included in the Commercial ITA Biomedical Experiments payload. The box was recently recovered during the search for Columbia debris. The drug delivery system and spaceflight hardware was developed jointly by JSC, the Institute for Research Inc. and Instrumentation Technology Associates Inc. to conduct microencapsulation experiments under microgravity conditions.

KENNEDY SPACE CENTER, FLA. - The apparatus shown was designed to hold microcapsules for research on mission STS-107....

KSC
NASA image: KENNEDY SPACE CENTER, FLA. -  Dr. Dennis Morrison, NASA Johnson Space Center, processes one of the experiments carried on mission STS-107. Several experiments were found during the search for Columbia debris. Included in the Commercial ITA Biomedical Experiments payload on mission STS-107 are urokinase cancer research, microencapsulation of drugs, the Growth of Bacterial Biofilm on Surfaces during Spaceflight (GOBBSS), and tin crystal formation.
Image
May 7, 2003

KENNEDY SPACE CENTER, FLA. - Dr. Dennis Morrison, NASA Johnson Space Center, processes one of the experiments carried on mission STS-107. Several experiments were found during the search for Columbia debris. Included in the Commercial ITA Biomedical Experiments payload on mission STS-107 are urokinase cancer research, microencapsulation of drugs, the Growth of Bacterial Biofilm on Surfaces during Spaceflight (GOBBSS), and tin crystal formation.

KENNEDY SPACE CENTER, FLA. - Dr. Dennis Morrison, NASA Johnson Space Center, processes one of the experiments...

KSC
PreviousPage 1 of 3Next

Frequently Asked Questions About NASA Images

Are NASA images free to use?+
Yes, most NASA images are in the public domain and are free to use for educational, informational, and personal purposes. NASA's media usage guidelines state that NASA material is not copyrighted unless otherwise noted. However, the NASA logo and certain insignia are protected. Some images may include identifiable individuals or third-party content that requires additional permissions. Always check the specific image's usage rights and credit NASA as the source.
How many images does NASA have?+
NASA's Image and Video Library contains over 140,000 publicly accessible images, videos, and audio files spanning the agency's entire history, from the Mercury program of the 1960s to the latest James Webb Space Telescope discoveries. The collection grows daily as new missions capture imagery and archival materials are digitized. Individual mission archives, such as Mars rover photos, contain hundreds of thousands of additional images.
Can I download NASA images?+
Yes, you can download NASA images in multiple resolutions directly from this gallery. Each image detail page provides download links for original (full resolution), large (1920px), medium (960px), small (480px), and thumbnail sizes. NASA encourages the public to use these images for education, media, and personal projects. High-resolution originals are ideal for printing and professional use.

Explore More NASA Content

Astronomy Picture of the Day

Daily curated space image

Mars Rover Photos

Curiosity & Perseverance images

Earth from Space

DSCOVR EPIC daily images

Launch Schedule

Upcoming rocket launches

Space News

Mission updates & discoveries