
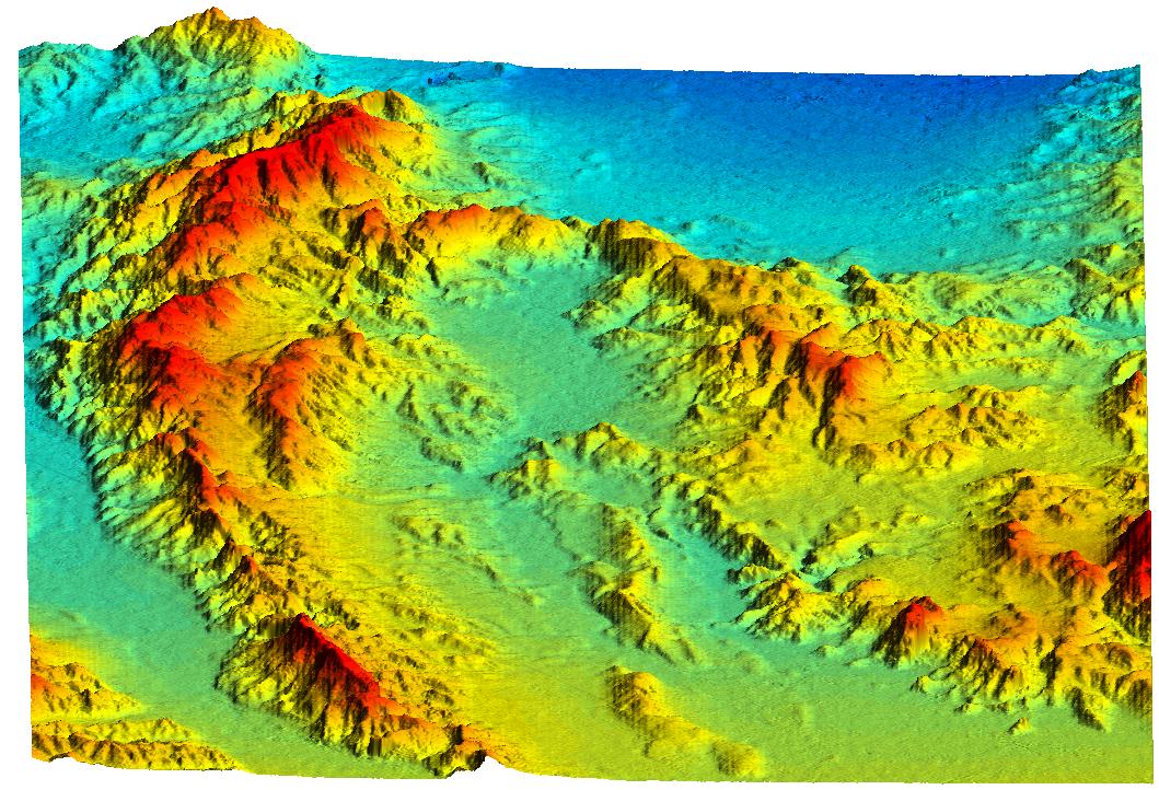
This perspective view acquired by NASA Shuttle Radar Topography Mission SRTM from data collected on February 16, 2000 shows an area of Ventura County, California, including Simi Valley in the center of the image.
Most NASA images are in the public domain and free to use. Credit NASA as the source. Check NASA's media usage guidelines for details. Images featuring identifiable individuals may require additional permissions.
NASA ID
PIA02711
Date Created
February 17, 2000
Center
JPL
Media Type
image
Download this image in multiple resolutions. All NASA media are free for public use.
Small
480px